Kostolany / Home
 
"Oscar"

geb. 21.05.2008
Dunkelbrauner Trakehner Wallach
Familie der Osterblume

Zü.: H.-A. Lindecke
Aufzü.: Gestüt Hämelschenburg
Bes.: S. Biesgen

6. September 2011 - Foto: Beate Langels - Trakehner Gestüt Hämelschenburg
Siegerhengst
Kostolany
Enrico Caruso Mahagoni
Elchniederung
Kapstadt Falke
Karben
Olympia X Le Duc Anduc
Liga
Orchidee VIII Altan II
OsterfreudeII
 
Dieser Kostolany-Sohn besticht durch sein erstklassiges Interieur, drei gute Grundgangarten mit hoher Taktsicherheit und durch sein Springvermögen. Seit Mitte Juni ist er nun in Arbeit. Unter dem Reiter läßt er sich bereits sehr schön an.  
6. September 2011 - Foto: Beate Langels - Trakehner Gestüt Hämelschenburg

6. September 2011 - Foto: Beate Langels - Trakehner Gestüt Hämelschenburg

6. September 2011 - Foto: Beate Langels - Trakehner Gestüt Hämelschenburg
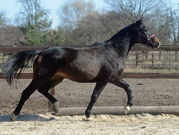
3jähriger Wallach von Kostolany x Le Duc
- am 6. September 2011

6. September 2011 - Foto: Beate Langels - Trakehner Gestüt Hämelschenburg 6. September 2011 - Foto: Beate Langels - Trakehner Gestüt Hämelschenburg

6. September 2011 - Foto: Beate Langels - Trakehner Gestüt Hämelschenburg     6. September 2011 - Foto: Beate Langels - Trakehner Gestüt Hämelschenburg

6. September 2011 - Foto: Beate Langels - Trakehner Gestüt Hämelschenburg      6. September 2011 - Foto: Beate Langels - Trakehner Gestüt Hämelschenburg

15. Juni 2011 - Foto: Beate Langels - Trakehner Gestüt Hämelschenburg    15. Juni 2011 - Foto: Beate Langels - Trakehner Gestüt Hämelschenburg
Gerade angeritten- 3jähriger Wallach von Kostolany x Le Duc
- am 15. Mai 2011 - geritten von unserer Auszubildenden Jessica

15. Juni 2011 - Foto: Beate Langels - Trakehner Gestüt Hämelschenburg

25. Mai 2011 - Foto: Beate Langels - Trakehner Gestüt Hämelschenburg

25. Mai 2011 - Foto: Beate Langels - Trakehner Gestüt Hämelschenburg

25. Mai 2011 - Foto: Beate Langels - Trakehner Gestüt Hämelschenburg 25. Mai 2011 - Foto: Beate Langels - Trakehner Gestüt Hämelschenburg

25. Mai 2011 - Foto: Beate Langels - Trakehner Gestüt Hämelschenburg
3jähriger Wallach von Kostolany x Le Duc - am 25. Mai 2011

6. März 2011 - Foto: Beate Langels - Trakehner Gestüt Hämelschenburg
Im Winterpelz: 3-jähriger Wallach von Kostolany x Le Duc

6. März 2011 - Foto: Beate Langels - Trakehner Gestüt Hämelschenburg 6. März 2011 - Foto: Beate Langels - Trakehner Gestüt Hämelschenburg 6. März 2011 - Foto: Beate Langels - Trakehner Gestüt Hämelschenburg 6. März 2011 - Foto: Beate Langels - Trakehner Gestüt Hämelschenburg
3jähriger Wallach von Kostolany x Le Duc - am 6. März 2011

6. März 2011 - Foto: Dietmar Harbert

6. März 2011 - Foto: Dietmar Harbert

Trakehner Wallach von Kostolany u.d. Oympia v. Le Duc, Foto: Beate Langels Gestüt Hämelschenburg - im Febraur 2011 Trakehner Wallach von Kostolany u.d. Oympia v. Le Duc, Foto: Beate Langels Gestüt Hämelschenburg - im Februar 2011
Im Febraur 2011

Trakehner Wallach von Kostolany u.d. Oympia v. Le Duc, Foto: Beate Langels Gestüt Hämelschenburg

Trakehner Wallach von Kostolany u.d. Oympia v. Le Duc
Zweijährig - im April 2010

Trakehner Wallach von Kostolany u.d. Oympia v. Le Duc

Trakehner Hengstfohlen von Kostolany u.d. Olympia v. Le Duc, Foto: Beate Langels Gestüt Hämelschenburg
Anläßlich der Fohlenschau in Schäplitz
Trakehner Hengstfohlen von Kostolany u.d. Olympia v. Le Duc, Foto: Beate Langels Gestüt Hämelschenburg
wurde er 2. Reservesieger